自从新政EB-5落地以来,三条“预留通道”便成了众多申请人眼中的香饽饽。尤其是乡村项目和城市高失业地区项目,一个名额多,另一个则地处都市,总之各有千秋。
而基于美国移民局近日发布的I-526/E审理新规可得知,移民局将于2026年3月30日起严格执行法定优先级:第一优先为乡村项目,其次为高失业率地区(TEA)、基础设施项目。
值得重视的是,EB-5市场的供需平衡正在发生微妙变化。一旦乡村项目官宣了排期,其无排期的政策红利将迅速转移至城市高失业率地区,届时大量申请人将涌入这一赛道。但这个时候如果您提前抢占了该赛道,那便意味着锁定了政策红利。
今天,侨联国际就来同大家聊聊一个即将发售的宝藏项目——CMB组102 Hillwood Park 275。它不仅是CMB与Hillwood的又一次强强联手,更身处城市高失业地区(TEA),完美踩在了“稳妥”与“速度”的交汇点上。
01 Hillwood Park 275定制项目概况
项目类别:城市高失业地区项目(TEA),暂无排期
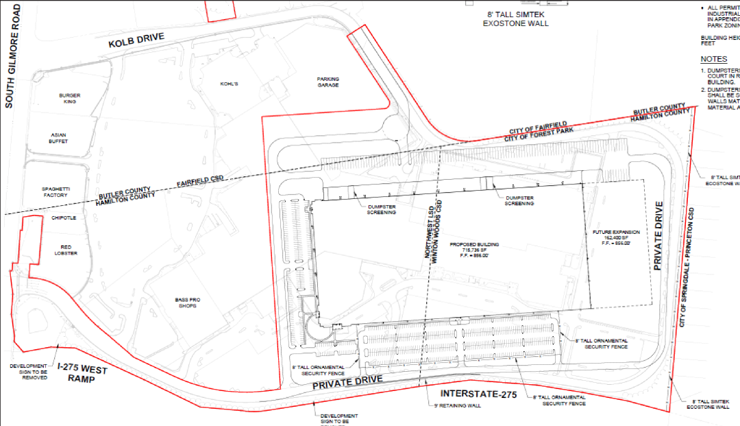
EB-5资金占比:48% 项目总支出:76,436,548美元 预计创造就业:557 就业盈余率:21.1% 项目所在地:符合移民局(USCIS)规定的TEA要求 Hillwood Park 275定制项目坐落于275号州际公路与South Gilmore路交汇处东北侧,占地约60英亩,横跨Forest Park和Fairfield两市辖区。 此外,Hillwood Park 275将提供约715,736平方英尺(越665万平方米)的定制级配送中心,并预留约164,000平方英尺(15,236平方米)的未来扩展容量,以此满足现代物流与分销体系的多样化需求。 此项目除主体仓储设施外,还将规划建设单层交叉甲板配置及ESFR喷淋系统。 当前Hillwood已启动项目前期筹备,正进行原有建筑拆除工作,项目进展顺利,而主体结构施工将于2026年7月启动,项目竣工预计2027年5月。 值得一提的是,目前Hillwood已与知名企业Hillman签订183个月(超过15年)的长期租约。由此也意味着,此项目建成后将拥有长期稳定的收入,投资风险较低。 02 Hillwood Park 275定制项目优势 地理位置优越 此项目位于俄亥俄州辛辛那提市北部,辛辛那提作为美国第30大都会统计区,也是中西部地区第5大都会统计区。 该地交通便利,区位优势明显,可轻松前往多个交通枢纽和区域主干道,例如:靠近I-75和 I-275高速公路;距离辛辛那提/北肯塔基国际机场40英里以内。 此外,辛辛那提在美国主要都市区中成本指数最低,这意味着该地区的运营成本低,生活成本低,人才生活质量高。 拥有高质量的租户 Hillman集团于1964年在俄亥俄州辛辛那提市成立,并于2020年11月上市,该公司及其全资子公司是北美零售市场最大的硬件相关产品和相关商品销售服务提供商之一。 多年来,Hillman因其创造价值和促进增长,而屡获“年度最佳供应商”奖。 虽然此项目处于建设初期,但Hillman却已签订183个月的合同。简单来说,该项目建成后便收益稳定,还款来源是可靠的。 开发商实力雄厚 Hillwood作为美国最大、最具影响力的开发商之一,曾为90多家《财富》500强公司开发过项目,包括亚马逊,FedEx,沃尔玛,通用电气,Wayfair等。 更为重要的是,Hillwood有着丰厚的资本、专业的市场知识及前瞻性的发展眼光,其多元化的项目组合覆盖北美及欧洲48个以上市场,展现了该公司在打造顶级工业设施领域的卓越执行力。 EB-5行业的领航者 CMB被公认为EB-5行业的领导者和开拓者,其拥有超过29年的丰富经验,服务超过6800个投资家庭,遍布全球100多个国家。 十四年来CMB与Hillwood携手共进,期间共打造了46家EB-5合伙公司,其中服务过的EB-5投资人超过2400个,就业岗位创造超过6,3000个。 而组102Hillwood Park 275项目将沿用这一经过市场检验的成功架构,为更多EB-5投资人实现移民目标保驾护航。 03 为什么选择侨联国际? 侨联国际已深耕移民行业十载,我们拥有从事10年以上海外移民,海外房产投资经验的资深精英团队,可为您提供专业的项目甄选与严谨的风险调研。 期间,我们共帮助逾千家庭及个人实现出国梦,其中包括美国,土耳其,中国香港,爱尔兰,巴拿马,马耳他,葡萄牙,希腊等主流国家的移民签证。 而在美国EB-5投资移民成功案例中,我们近来收到了客户朋友仅3个来月获得EAD工卡;5个月获批I-526E;一年六个月拿到美国绿卡的喜讯。 不过能取得以上成果,更离不开客户朋友们的支持与配合。接下来,我们将继续为各位投资者严格筛选EB-5项目,坚守从部分项目开工实地走访,到项目中期建造情况分享,再到项目竣工开业,我们都全程跟进,并实时为大家分享。 写在最后:EB-5投资虽涉及诸多风险,包括资金安全与绿卡获批的不确定性,但选择有实力、有经验、有口碑的平台,便能最大程度的降低这些风险。 本篇侨联国际为大家分享的CMB组102Hillwood Park 275项目,集结了EB-5行业最优质的资源,其拥有政府激励政策支持、优越的地理位置、可观的项目规模和充足的就业盈余,可谓是当前EB-5市场上难得一见的优质项目。 对于希望通过EB-5投资实现美国梦的投资人而言,这无疑是一个值得认真考虑的选择。




